PROGRAMOTUĐENJA GRAĐEVINSKOG ZEMLJIŠTA U JAVNOJ SVOJINI("Sl. list Grada Loznice", br. 3/2015, 21/2019, 24/2020, 4/2021 i 10/2025) |
Na osnovu Zakona o planiranju i izgradnji ("Službeni glasnik RS", br. 72/09, 81/09, 24/11, 121/12, 132/14 i 145/14) i Odluke o otuđenju, razmeni i davanju u zakup građevinskog zemljišta u javnoj svojini grada Loznice neizgrađeno građevinsko zemljište, za koje je donet planski dokument na osnovu koga se mogu izdati lokacijski uslovi, odnosno građevinska dozvola i koje je u skladu sa tim planskim dokumentom komunalno opremljeno za građenje, mogu se otuđiti u skladu sa Zakonom i ovom odlukom.
Izuzetno, predmet otuđenja može biti i neizgrađeno građevinsko zemljište koje nije komunalno opremljeno, pod uslovom da učesnik u postupku javnog nadmetanja, odnosno prikupljanja ponuda javnim oglasom prihvati uslove o finansiranju izgradnje komunalne infrastrukture čija je sadržina propisana u članu 92. Zakona o planiranju i izgradnji, a koji su prethodno objavljeni u javnom oglasu.
Po sprovedenom postupku otuđenja u slučaju određenom u prethodnom stavu, međusobni odnosi Grada i kupca neizgrađenog građevinskog zemljišta u javnoj svojini u pogledu finansiranja izgradnje komunalne infrastrukture regulisaće se u skladu sa članom 92. Zakona o planiranju i izgradnji ("Službeni glasnik RS", br. 72/09, 81/09, 24/11, 121/12,132/14 i 145/14).
Prostor određen planskim dokumentom za uređenje ili izgradnju javnih objekata ili javnih površina, za koje se u skladu sa posebnim zakonom utvrđuje opšti interes (u daljem tekstu: površine javne namene), postojeći ili planiran, ne može se otuđiti iz javne svojine.
Izuzetno, planirane a neizgrađene površine javne namene mogu se dati u kratkoročni zakup, do privođenja planiranoj nameni, pod uslovima određenim Odlukom.
U skladu sa Odlukom o otuđenju, razmeni i davanju u zakup građevinskog zemljišta u javnoj svojini Grada Loznice, zemljište se otuđuje i daje u zakup radi izgradnje i postavljanja objekata prema određenom planskom dokumentu, na način kojim se obezbeđuje njegovo racionalno korišćenje.
Neizgrađeno građevinsko zemljište se izdaje u zakup radi postavljanja montažnih objekata i izgradnje privremenih objekata u skladu sa Zakonom.
Neizgrađeno građevinsko zemljište u javnoj svojini daje se u zakup radi:
- postavljanja privremenih montažnih objekata, u skladu sa važećom odlukom o postavljanju montažnih objekata na javnim površinama na području Grada Loznice i programima postavljanja montažnih objekata i kioska i pokretnih montažnih objekata grada Loznice,
- izgradnje objekata za koje se u skladu sa članom 147. Zakona o planiranju i izgradnji izdaje privremena građevinska dozvola.
Ugovor o zakupu zemljišta se zaključuje na određeno vreme, najduže do pet godina.
Pre zaključenja ugovora o zakupu najbolji ponuđač je dužan da podnese glavni projekat za izgradnju privremenog objekta, projekat rušenja tog objekta sa predračunom troškova rušenja, kao i da uplati depozit u visini predračuna troškova uklanjanja predmetnog objekta na odgovarajući tekući račun Odeljenja za finansije i društvene delatnosti Gradske uprave Grada Loznice.
II NAČIN OTUĐENJA GRAĐEVINSKOG ZEMLJIŠTA
Javnim nadmetanjem, odnosno prikupljanjem ponuda javnim oglasom otuđuje se neizgrađeno građevinsko zemljište licu koje ponudi najveći iznos naknade za otuđenje u skladu sa Zakonom osim u slučaju raspolaganja pod povoljnijim uslovima od tržišnih za koje je prethodno pribavljena saglasnost Vlade, pod uslovima određenim Zakonom, važećim podzakonskim aktom Vlade i ovom odlukom.
Neposrednom pogodbom može se otuđiti, odnosno dati u zakup neizgrađeno građevinsko zemljište u javnoj svojini u slučajevima propisanim Zakonom.
Postupak javnog nadmetanja, odnosno prikupljanja ponuda javnim oglasom sprovodi se u skladu sa zakonom i donetom Odlukom.
Na teritoriji grada Loznice postoji nekoliko lokacija na kojima je moguća izgradnja poslovnih i stambenih objekata u skladu sa donetim Generalnim urbanističkim planom i urađenim detaljnim planovima regulacije. Dve najveće lokacije na kojima su urađeni planovi detaljne regulacije su: industrijska zona ŠEPAK i zona LAGATOR.
2.1.1. POSEBNE POVOLJNOSTI
Grad može otuđiti građevinsko zemljište u javnoj svojini po ceni koja je manja od tržišne cene ili bez naknade (u daljem tekstu: raspolaganje pod uslovima povoljnijim od tržišnih), po prethodno pribavljenoj saglasnosti Vlade u skladu sa Zakonom o planiranju i izgradnji, pod uslovom da je to građevinsko zemljište namenjeno za izgradnju:
1) objekta u funkciji realizacije projekata ekonomskog razvoja;
2) objekta koji je namenjen za socijalno stanovanje, u skladu sa zakonom kojim se uređuje socijalno stanovanje ili objekat koji nije namenjen tržištu već za potrebe državnih organa ili organa jedinice lokalne samouprave i da je investitor tog objekta Republika Srbija, odnosno jedinica lokalne samouprave;
3) kada se radi o ispunjavanju ugovornih obaveza nastalih do stupanja na snagu Zakona o planiranju i izgradnji;
4) objekta koji je u funkciji obavljanja komunalne delatnosti, u skladu sa zakonom kojim se uređuju komunalne delatnosti.
Projekti ekonomskog razvoja iz tačke 1) jesu projekti koji su od posebnog značaja za realizaciju privrednog razvoja Republike Srbije i lokalnog ekonomskog razvoja, čijom realizacijom se povećava broj zaposlenih u privredi za najmanje 1% i srazmerno uvećavaju javni prihodi.
Kada jedinica lokalne samouprave u svom sastavu ima gradske opštine, povećanje broja zaposlenih iz stava 1. ovog člana odnosi se na gradsku opštinu
2.1.2. INDUSTRIJSKA ZONA "ŠEPAK"
Industrijska zona Šepak se prostire na površini od 82,66 hektara, pri čemu je trenutno zauzeto oko 21 hektar. Postoje slobodne površine od oko 27 hektara infrastrukturno opremljene i 34,77 hektara neopremljenog zemljišta. Početna cena otuđenja u ovoj zoni se kreće u iznosu od 7,20 evra po metru kvadratnom.
Katastarske parcele u ovoj zoni nisu čvrsto definisane, pa se zato može prema zahtevima investitora izvršiti preparcelacija koja može podrazumevati ili usitnjavanje postojećih parcela ili pak njihovo ukrupnjivanje, a sve u skladu sa zahtevom investitora i delatnošću kojom će se baviti.
R. b. |
KATASTARSKA PARCELA |
Broj parcele iz plana parcelacije |
ha |
ar |
m2 |
KO |
1 |
2 |
3 |
4 |
5 |
6 |
7 |
Zona Šepak |
NAMENA: Poslovanje i komercijalne funkcije |
|||||
1 |
4532/1 |
parcela 1.1.11. |
|
56 |
20 |
Loznica |
2 |
4532/1 |
parcela 2.1.1. |
|
93 |
07 |
Loznica |
3 |
4532/1 |
parcela 2.1.2. |
|
89 |
04 |
Loznica |
4 |
4532/1 |
parcela 2.1.3. |
01 |
00 |
30 |
Loznica |
5 |
4533/8 |
parcela 2.2.1. |
|
71 |
95 |
Loznica |
6 |
4533/8 i 4532/1 |
parcela 2.2.2. |
|
63 |
64 |
Loznica |
7 |
4533/8, 4533/23, 4528/1 |
parcela 2.3.1. |
|
98 |
10 |
Loznica |
8 |
4533/8 i 4533/23 |
parcela 2.3.2. |
01 |
20 |
17 |
Loznica |
9 |
4533/17, 4532/6 |
parcela 2.4.1. |
|
48 |
49 |
Loznica |
10 |
4533/15 |
parcela 2.5.1. |
|
29 |
75 |
Loznica |
11 |
4533/15 |
parcela 2.5.2. |
|
28 |
80 |
Loznica |
12 |
4533/11 |
parcela 2.6.1. |
|
35 |
17 |
Loznica |
13 |
4533/11 |
parcela 2.6.3. |
|
30 |
91 |
Loznica |
14 |
4533/17 |
parcela 2.7.1. |
|
32 |
77 |
Loznica |
15 |
4533/17 |
parcela 2.7.2. |
|
31 |
31 |
Loznica |
16 |
4532/5 |
parcela 2.7.5. |
|
25 |
60 |
Loznica |
17 |
4532/5 |
parcela 4.4. |
|
15 |
16 |
Loznica |
18 |
4533/17 |
parcela 4.5. |
|
15 |
97 |
Loznica |
19 |
4533/1 |
parcela 2.4.2. |
|
42 |
12 |
Loznica |
20 |
4533/1 |
parcela 2.5.3. |
|
52 |
06 |
Loznica |
21 |
4533/23, 4533/9, 4533/10, 4533/3 |
parcela 2.6.2. |
|
31 |
97 |
Loznica |
22 |
4533/9, 4533/23 |
parcela 2.6.4. |
|
29 |
35 |
Loznica |
23 |
4533/10, 4533/23, 4533/9 |
parcela 2.7.3. |
|
63 |
11 |
Loznica |
24 |
4533/9, 4533/23 |
parcela 2.7.6. |
|
56 |
63 |
Loznica |
25 |
4532/5 |
parcela 3.2.1. |
02 |
98 |
77 |
Loznica |
26 |
4532/5, 4532/4, 4533/10 |
parcela 3.2.3. |
03 |
05 |
52 |
Loznica |
27 |
4532/5,4532/4 |
parcela 3.2.4. |
03 |
37 |
66 |
Loznica |
28 |
4532/5, 4532/4, 4532/3 |
parcela 3.2.5. |
02 |
85 |
87 |
Loznica |
29 |
4532/5 |
parcela 3.3.1. |
|
81 |
90 |
Loznica |
30 |
4532/5 |
parcela 3.3.2. |
|
82 |
00 |
Loznica |
31 |
4533/3 |
|
|
80 |
25 |
Loznica |
32 |
4533/8 |
|
1 |
29 |
23 |
Loznica |
33 |
4533/12 |
|
|
15 |
97 |
Loznica |
34 |
4533/36 |
|
|
25 |
60 |
Loznica |
35 |
4533/18 |
|
5 |
19 |
98 |
Loznica |
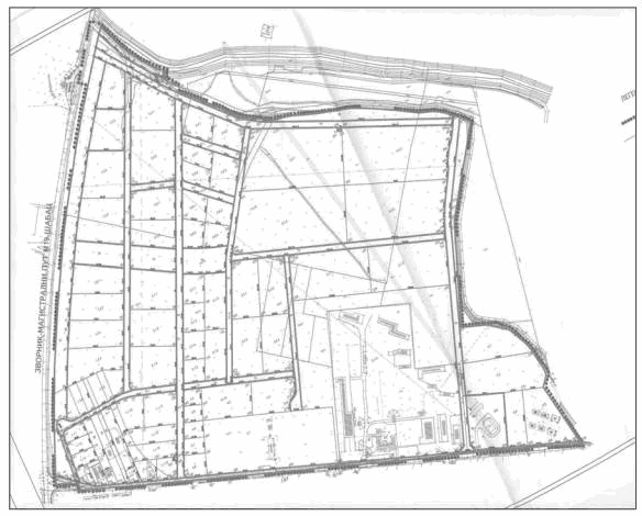
ŠEMATSKI PRIKAZ LOKACIJE ZA INDUSTRIJSKU ZONU "ŠEPAK"

Namene zemljišta u industrijskoj zoni Šepak različite su u zavisnosti od parcele:
Pretežna delatnost - industrija i skladišta
Dopunska delatnost - usluge i servisi
Pretežna delatnost - komercijalni sadržaji
Dopunska delatnost - proizvodno zanatstvo i stanovanje uz poslovne i radne zone
Pretežna delatnost - industrija i skladišta
Dopunska delatnost - proizvodno zanatstvo
Pretežna delatnost - proizvodno zanatstvo
Dopunska delatnost - usluge i servisi
U skladu sa Zakonom o planiranju i izgradnji i članom 62. Odluke o otuđenju, razmeni i davanju građevinskog zemljišta u javnoj svojini Grada Loznice za otuđenje neizgrađenog građevinskog zemljišta u javnoj svojini plaća se cena koja se utvrdi u postupku prikupljanja ponuda javnim oglasom, odnosno javnog nadmetanja i ona se ne može naknadno umanjivati.
Početna cena za otuđenje građevinskog zemljišta u javnoj svojini utvrđuje se u visini tržišne vrednosti tog građevinskog zemljišta koju utvrđuje Poreska uprava, koristeći standardne metode procene vrednosti nepokretnosti.
Imajući u vidu izuzetnu važnost ove lokacije u smislu zainteresovanih investitora iz sfere proizvodnih delatnosti, kao i veliku nezaposlenost, cena zemljišta se u skladu sa Zakonom može dati i po povoljnijim uslovima od tržišnih, za koje je prethodno potrebno pribaviti saglasnost Vlade pod uslovima određenim zakonom i važećim podzakonskim aktom Vlade.
R. B. |
Katastarska parcela |
Katastarska opština |
Površina u m2 |
Obim udela grada Loznice |
1. |
4533/44 |
Loznica |
6416 |
43379/43414 |
2. |
4533/45 |
Loznica |
18737 |
43379/43414 |
Pre sprovođenja postupka otuđenja neophodno je ažurirati podatke u katastru u vezi sa obimom udela na predmetnim parcelama.
2.1.3 ZONA III "LAGATOR"
Zona III Lagator ima površinu od 29.02.78 hektara i prema nameni obuhvata javno i ostalo zemljište.
Javno građevinsko zemljište su planom određene površine namenjene korišćenju i izgradnji objekata od opšteg interesa, kao što su saobraćajnice (ulice, parkirališta, pešačke staze, biciklističke staze i sl.), parkovske površine i komunalna infrastruktura (instalacije vodovoda, kanalizacije, javne rasvete, elektroenergetske, TT, gasne i toplovodne) i javni objekti.
NAMENA |
POVRŠINA PO NAMENI U m2 |
% UČEŠĆA |
Saobraćajne površine |
7.01.86 |
24 % |
Obrazovanje, briga o deci |
2.04.82 |
7 % |
konfesionalna |
47.43 |
2 % |
Sport i rekreacija |
1.09.54 |
4 % |
Javno zelenilo |
2.24.36 |
8% |
U K U P N O: |
12.88.01 |
45 % |
Ostalo zemljište su planom određene površine namenjene korišćenju i izgradnji ostalih objekata u skladu sa predviđenim namenama:
NAMENA |
POVRŠINA PO NAMENI U m2 |
% UČEŠĆA |
Višeporodično stanovanje visokih gustina |
3.12.13 |
11 % |
Višeporodično stanovanje srednjih gustina |
3.05.88 |
10 % |
Porodično stanovanje |
5.38.15 |
18 % |
Poslovanje i komercijalne funkcije |
1.57.36 |
5 % |
Komunalna infrastruktura |
1.12.83 |
4 % |
Saobraćaj |
52.06 |
2 % |
Posebna namena |
1.36.36 |
5 % |
U K U P N O: |
16.14.77 |
55 % |
SPISAK KATASTARSKIH PARCELA SA POVRŠINAMA I NAMENAMA
Red. broj |
KATASTARSKA PARCELA |
ha |
ar |
m2 |
KO |
1 |
2 |
3 |
4 |
5 |
6 |
A. Blok 2 Lagator |
NAMENA: Poslovanje i komercijalne funkcije |
||||
1 |
k. p. br. 3487/2 |
32 |
36 |
Loznica |
|
2 |
k. p. br. 3487/1 |
34 |
79 |
Loznica |
|
B. Blok 4.1 Lagator |
NAMENA: Višeporodično stanovanje srednjih gustina |
||||
1 |
k. p. br. 3481/61 |
12 |
43 |
Loznica |
|
2 |
k. p. br. 3481/58 |
14 |
74 |
Loznica |
|
3 |
k. p. br. 3481/54 |
15 |
27 |
Loznica |
|
V. Blok 4.2-1 i 4.2-3 Lagator |
NAMENA: Višeporodično stanovanje velikih gustina |
||||
1 |
k. p. br. 3481/18 |
11 |
50 |
Loznica |
|
2 |
k. p. br. 3481/19 |
9 |
68 |
Loznica |
|
3 |
k. p. br. 3481/20 |
13 |
39 |
Loznica |
|
4 |
k. p. br. 3481/22 |
15 |
91 |
Loznica |
|
5 |
k. p. br. 3481/26 |
16 |
13 |
Loznica |
|
6 |
k. p. br. 3481/27 |
24 |
81 |
Loznica |
|
7 |
k. p. br. 3481/31 |
22 |
62 |
Loznica |
|
|
NAMENA: Porodično stanovanje |
||||
1 |
k. p. br. 3481/21 |
6 |
7 |
Loznica |
|
2 |
k. p. br. 3481/23 |
6 |
16 |
Loznica |
|
3 |
k. p. br. 3481/25 |
6 |
95 |
Loznica |
|
4 |
k. p. br. 3481/28 |
6 |
55 |
Loznica |
|
G. Blok 5-1, 5-3 Lagator |
NAMENA: Višeporodično stanovanje srednjih gustina |
||||
1 |
k. p. br. 3483/18 |
7 |
25 |
Loznica |
|
2 |
k. p. br. 3483/15 |
9 |
3 |
Loznica |
|
3 |
k. p. br. 3483/12 |
9 |
86 |
Loznica |
|
4 |
k. p. br. 3483/10 |
10 |
69 |
Loznica |
|
5 |
k. p. br. 3483/8 |
12 |
34 |
Loznica |
|
|
NAMENA: Višeporodično stanovanje velikih gustina |
||||
1 |
k. p. br. 3483/17 |
7 |
23 |
Loznica- |
|
2 |
k. p. br. 3483/16 |
7 |
77 |
Loznica- |
|
3 |
k. p. br. 3483/14 |
9 |
13 |
Loznica |
|
D. Blok 7 Lagator |
NAMENA: Višeporodično stanovanje srednjih gustina |
||||
1 |
k. p. br. 3493/4 |
13 |
85 |
Loznica |
|
2 |
k. p. br. 3493/5 |
11 |
87 |
Loznica |
|
3 |
k. p. br. 3493/11 |
8 |
41 |
Loznica |
|
4 |
k. p. br. 3493/9 |
15 |
2 |
Loznica |
|
5 |
k. p. br. 3493/8 |
8 |
58 |
Loznica |
|
6 |
k. p. br. 3493/7 |
8 |
5 |
Loznica |
|
|
KATASTARSKA PARCELA |
Broj parcele iz plana parcelacije |
ha |
ar |
m2 |
K.O. |
1 |
2 |
3 |
4 |
5 |
6 |
7 |
Lagator |
NAMENA: višeporodično stanovanje visoke gustine |
|||||
1. |
3481/43 |
|
|
23 |
81 |
Loznica |
2. |
3481/66 |
|
|
18 |
47 |
Loznica |
3. |
3493/1 |
|
2 |
50 |
22 |
Loznica |
4. |
3486/3 |
|
|
6 |
07 |
Loznica |
5. |
3486/4 |
|
|
6 |
08 |
Loznica |
6. |
3486/5 |
|
|
6 |
07 |
Loznica |
7. |
3486/7 |
|
|
6 |
38 |
Loznica |
8. |
3486/8 |
|
|
6 |
06 |
Loznica |
9. |
3486/9 |
|
|
5 |
75 |
Loznica |
10. |
3486/10 |
|
|
5 |
62 |
Loznica |
|
KATASTARSKA PARCELA |
Broj parcele iz plana parcelacije |
ha |
ar |
m2 |
K.O. |
1 |
2 |
3 |
4 |
5 |
6 |
7 |
Lagator |
NAMENA: višeporodično stanovanje srednje gustine |
|||||
1. |
3486/11 |
|
|
5 |
03 |
Loznica |
2. |
3486/12 |
|
|
5 |
62 |
Loznica |
3. |
3486/13 |
|
|
5 |
45 |
Loznica |
4. |
3486/14 |
|
|
4 |
94 |
Loznica |
5. |
3486/15 |
|
|
4 |
84 |
Loznica |
6. |
3486/16 |
|
|
4 |
38 |
Loznica |
7. |
3485/1 |
|
|
7 |
40 |
Loznica |
8. |
3485/3 |
|
|
4 |
12 |
Loznica |
9. |
3485/4 |
|
|
4 |
43 |
Loznica |
10. |
3485/5 |
|
|
8 |
36 |
Loznica |
11. |
3485/6 |
|
|
4 |
54 |
Loznica |
12. |
3485/7 |
|
|
4 |
56 |
Loznica |
13. |
3485/8 |
|
|
9 |
12 |
Loznica |
14. |
3485/11 |
|
|
9 |
14 |
Loznica |
|
KATASTARSKA PARCELA |
Broj parcele iz plana parcelacije |
ha |
ar |
m2 |
K.O. |
1 |
2 |
3 |
4 |
5 |
6 |
7 |
Lagator |
NAMENA: stanovanje niskih gustina |
|||||
1. |
3486/17 |
|
|
4 |
71 |
Loznica |
2. |
3486/18 |
|
|
4 |
47 |
Loznica |
3. |
3486/19 |
|
|
4 |
76 |
Loznica |
4. |
3486/20 |
|
|
5 |
13 |
Loznica |
5. |
3486/21 |
|
|
4 |
95 |
Loznica |
6. |
3486/23 |
|
|
4 |
56 |
Loznica |
7. |
3486/24 |
|
|
4 |
56 |
Loznica |
8. |
3486/26 |
|
|
4 |
80 |
Loznica |
9. |
3486/30 |
|
|
4 |
50 |
Loznica |
ŠEMATSKI PRIKAZ LOKACIJE "LAGATOR"

Postoji i nekoliko katastarskih parcela na kojima je urbanističkim planovima definisana namena objekata koji bi se mogli graditi:
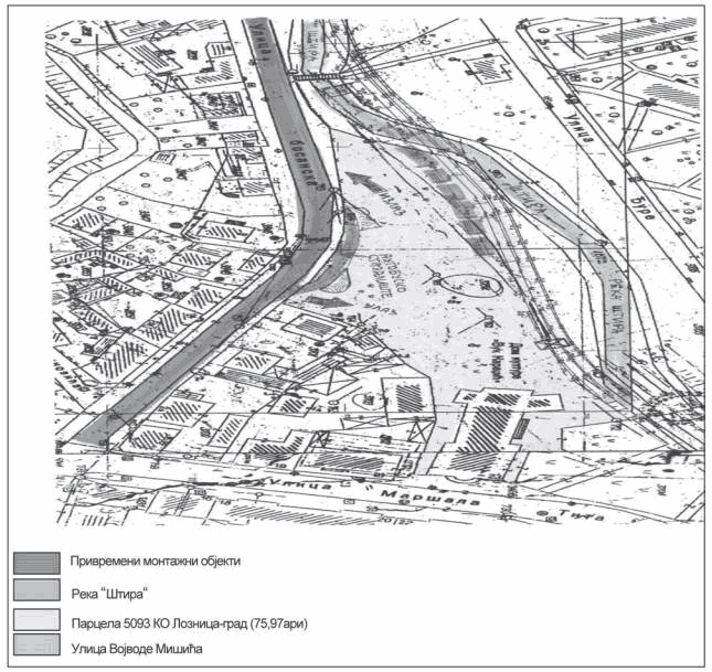
- KP 5093 u KO Loznica (iza Doma kulture "Vuk Karadžić") površine 75,97 a
- KP 4709/1 u KO Loznica (na Gradilištu) površine 10,51 a
- KP 8163/12 u KO Loznica - Borkovača, površine 5,05 a
- KP 4914/2 u KO Loznica - ul. Boška Matića, površine 6,72 a
2.1.4 KP 5093 iza Doma kulture "Vuk Karadžić"
Red. broj |
KATASTARSKA PARCELA |
ha |
ar |
m2 |
KO |
1 |
2 |
3 |
4 |
5 |
6 |
|
NAMENA: Poslovanje i komercijalne funkcije |
||||
1 |
k. p. br. 5093 |
|
75 |
97 |
Loznica - grad |
Namena ove lokacije je poslovanje sa komercijalnim funkcijama, imajući u vidu znatan deo privremenih montažnih objekata koji imaju različite delatnosti. Ponuda stranog investitora za izgradnju javne garaže na ovom mestu bila bi apsolutno opravdana uz objedinjavanje postojećih komercijalnih i uslužnih sadržaja objekata kao pratećih u ovom projektu.
ŠEMATSKI PRIKAZ MOGUĆE LOKACIJE ZA BUDUĆU JAVNU GARAŽU

2.1.5. KP 4709/1 (na Gradilištu)
Red. broj |
KATASTARSKA PARCELA |
ha |
ar |
m2 |
KO |
1 |
2 |
3 |
4 |
5 |
6 |
|
NAMENA: Poslovanje i komercijalne funkcije |
||||
1 |
k. p. br. 4709/1 |
|
10 |
51 |
Loznica - grad |
ŠEMATSKI PRIKAZ KP 4709/1

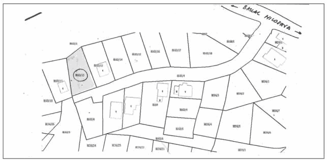
2.1.6 KP 8162/12 - Bakal Milosava - Borkovača
Red. broj |
KATASTARSKA PARCELA |
ha |
ar |
m2 |
KO |
1 |
2 |
3 |
4 |
5 |
6 |
|
NAMENA: Porodično stanovanje |
||||
1 |
k. p. br. 8162/12 |
|
5 |
05 |
Loznica |
ŠEMATSKI PRIKAZ KP 8162/12

2.1.7 KP 4914/2 - ul. Boška Matića
Red. broj |
KATASTARSKA PARCELA |
ha |
ar |
m2 |
KO |
1 |
2 |
3 |
4 |
5 |
6 |
|
NAMENA: Sekundarna proizvodnja i tercijalne delatnosti |
||||
1 |
k. p. br. 4914/2 |
|
6 |
72 |
Loznica |
ŠEMATSKI PRIKAZ KP 4914/2

2.1.8 Direkcija za upravljanje i razvoj Banje Koviljače
Na području MZ Banja Koviljača postoji nekoliko katastarskih parcela koje mogu biti otuđene, i to:
1. Potez "Benkara", br. kat. parcele 1717/3, površine 00.04,52 ha
2. Potez "Centar", br. kat. parcele 550/9 površine 00.79,15 ha i 163/1, površine 00.03,62 ha
3. Potez "Marina pekara", br. kat. parcele 135/3, površine 00.01,67ha, 135/4 površine 00.01.45 ha, 135/5 površine 00.00,50 ha i 135/6 površine 00.00,02 ha
4. Uži Banjski reon, br. kat parcela 546/10 površine 00.03,26 ha.
ŠEMATSKI PRIKAZ KP 1717/3

ŠEMATSKI PRIKAZ KP 550/9 i 163/1

ŠEMATSKI PRIKAZ KP 135/3, 135/4, 135/5 i 135/6

2.1.9. katastarske parcele na teritoriji grada Loznice i to:
R. BR. |
Katastarska parcela broj: |
Katastarska opština |
Površina parcele |
1. |
778/2 |
Banja Koviljača |
0.10,82 ha |
2. |
7951 |
Loznica |
Udeo 74/325 m2 |
3. |
3558/6 |
Loznica |
0.00,64 ha |
4. |
2228 |
Loznica |
0.06,10 ha |
5. |
10432/3 |
Loznica |
0.02,84 ha |
6. |
8641/2 |
Loznica |
0.02,25 ha |
7. |
11939/3 |
Loznica |
0.03,62 ha |
8. |
3175 |
Čokešina |
01.17,00 ha |
9. |
9040/2 |
Loznica |
0.53,13 ha |
10. |
8647 |
Loznica |
0.02,92 ha |
11. |
2434 |
Novo Selo |
03.15,01 ha |
12. |
8163/3 |
Loznica |
0.04,25 ha |
13. |
8163/12 |
Loznica |
0.05,05 ha |
14. |
8163/17 |
Loznica |
0.06,22 ha |
15. |
8163/18 |
Loznica |
0.06,85 ha |
16. |
8163/1 |
Loznica |
02.88,71 ha |
17. |
1968 |
Šor |
00.76,06 ha |
18. |
508/9 |
Zajača |
Udeo 29/9481 m2 |
III ORGAN NADLEŽAN ZA SPROVOĐENJE POSTUPKA RASPOLAGANJA GRAĐEVINSKIM ZEMLJIŠTEM
Postupak javnog nadmetanja, odnosno prikupljanja ponuda javnim oglasom radi otuđenja neizgrađenog građevinskog zemljišta u javnoj svojini sprovodi Komisija za sprovođenje postupka raspolaganja građevinskim zemljištem (u daljem tekstu: Komisija) u skladu sa Zakonom i ovom odlukom.
Nadležnost Komisije, njen sastav i način odlučivanja regulisan je Odlukom o otuđenju, razmeni i davanju u zakup građevinskog zemljišta u javnoj svojini grada Loznice.
Komisija označena u stavu 1. ove odluke radi u sastavu: predsednik, zamenik predsednika i tri člana.
Članove Komisije imenuje Skupština grada Loznice.
Komisija se sastaje po potrebi, a odluke se donose većinom glasova.
3.1 Prikupljanje ponuda javnim oglasom
Javni oglas za prikupljanje ponuda za otuđenje građevinskog zemljišta objavljuje se u sredstvima javnog informisanja, na oglasnoj tabli organa i službi Grada, oglasnoj tabli Gradske uprave i zvaničnoj internet prezentaciji Grada i drugim elektronskim medijima, najmanje 30 dana pre dana održavanja javnog nadmetanja.
Javni oglas za prikupljanje ponuda sadrži:
1. osnovne podatke o građevinskom zemljištu (u daljem tekstu: "kat. parceli"), koje je predmet otuđenja (gde se nalazi, veličina, itd.),
2. informacija o tome da li se zemljište otuđuje,
3. opis dozvoljene namene, urbanističke parametre koji definišu dozvoljenu namenu i druga ograničenja koja važe za objekte koji se mogu graditi na predmetnom građevinskom zemljištu,
4. podatke o komunalnoj opremljenosti građevinskog zemljišta a u slučaju komunalno neopremljenog/neuređenog građevinskog zemljišta i podatke o radovima na izgradnji komunalne infrastrukture koje je potrebno da izvrši lice koje kupuje zemljište,
5. podatke o početnoj ceni naknade za otuđenje i dinamici plaćanja naknade za otuđenje za ponuđača sa najpovoljnijom ponudom,
6. vreme i mesto održavanja javnog nadmetanja,
7. uslovi za učešće u javnom nadmetanju, podaci o postupku za podnošenje ponude i rok za podnošenje ponuda, kao i obavezna sadržina ponude,
8. iznos i postupak plaćanja depozita za učešće u postupku prikupljanja ponuda kao i način i rok vraćanja depozita ponuđačima koji predmetno zemljište ne dobiju u svojinu,
9. način i rok obaveštavanja ponuđača o rezultatima nadmetanja,
10. upozorenje učesniku čija ponuda bude prihvaćena, da u slučaju odustajanja od date ponude gubi pravo na povraćaj uplaćenog iznosa na ime depozita,
11. informacija o mestu i načinu pribavljanja dodatnih informacija i dokumenata o predmetu ponude (kao što je informacija o tome koje se sve katastarske parcele nalaze na datoj lokaciji), uključujući nacrt ugovora o prodaji koji će biti zaključen sa ponuđačem sa najpovoljnijom ponudom.
Ukoliko je predmet otuđenja veći broj katastarskih/građevinskih parcela na istoj lokaciji, javni oglas za otuđenje građevinskog zemljišta, treba da sadrži tačke 1. do 7. iz člana 14. za svaku katastarsku/građevinsku parcelu posebno.
Ponude se podnose u zatvorenoj koverti, sa vidljivom naznakom na koje se katastarske parcele odnosi, Komisiji u roku i na mestu određenom u javnom oglasu.
Ponuđena cena za zemljište mora biti data u dinarskom iznosu koji je najmanje jednak ili veći od početnog iznosa utvrđenog u raspisanom oglasu.
Rok za podnošenje ponuda ističe 48 sati pre dana i časa određenog za otvaranje ponuda.
Neblagovremena i neuredna ponuda se odbacuje.
Neuredna je ponuda:
1. podneta u otvorenoj koverti ili bez vidljive oznake na koje parcele se odnosi,
2. koja ne sadrži podatke i dokumenta iz čl. 17. i 18. Odluke o otuđenju, razmeni i davanju u zakup građevinskog zemljišta u javnoj svojini Grada Loznice,
3. u kojoj ponuđena cena nije u skladu sa stavom 2. ovog člana.
3.2 Ponuda fizičkog lica sadrži:
1. oznaku kat. parcele na koje se ponuda odnosi;
2. ime i prezime;
3. adresu, jedinstveni matični broj građana i potpis;
4. izjavu o prihvatanju svih uslova iz oglasa (uključujući i izjavu o prihvatanju uslova za komunalno opremanje/uređivanje predmetnog zemljišta sadržanih u javnom oglasu, ukoliko se radi o neizgrađenom građevinskom koje nije komunalno opremljeno za građenje);
5. dokaz o uplaćenom depozitu;
6. broj računa za vraćanje uplaćenog depozita;
7. cenu zemljišta za datu kat. parcelu.
3.3 Ponuda pravnog lica sadrži:
1. oznaku kat. parcele na koju se ponuda odnosi;
2. firmu, matični broj i PIB;
3. ime i prezime direktora/lica ovlašćenog za zastupanje i njegov potpis;
4. overenu fotokopiju Rešenja o registraciji APR, odnosno drugog odgovarajućeg registra;
5. overeno punomoćje kojim se predstavnik pravnog lica ovlašćuje da učestvuje u nadmetanju u ime pravnog lica;
6. overenu izjavu ovlašćenog lica o prihvatanju svih uslova iz javnog oglasa, (uključujući i izjavu o prihvatanju propisanih uslova za komunalno opremanje/ uređivanje predmetnog zemljišta sadržanih u javnom oglasu ukoliko se radi o neizgrađenom građevinskom koje nije komunalno opremljeno za građenje);
7. dokaz o uplaćenom depozitu;
8. broj računa za vraćanje depozita;
9. cenu zemljišta za datu kat. parcelu.
3.4 Javno otvaranje ponuda
O početku, toku i završetku javnog otvaranja ponuda sastavlja se zapisnik. Postupak javnog otvaranja ponuda počinje unošenjem u zapisnik mesta i vremena javnog otvaranja ponuda, podataka o prisutnim članovima Komisije, podataka o prispelom broju ponuda i podataka o parcelama na koje se odnose prispele ponude.
Neblagovremene ponude se posebno izdvajaju i ne razmatraju što se posebno konstatuje na zapisnik.
Ponude se razvrstavaju po kat. parcelama a potom ih predsednik Komisije ili lice koje on odredi otvara i predaje na uvid ostalim članovima Komisije nakon čega isto lice javno saopštava i diktira u zapisnik sadržinu ponude.
Ponude za koje se po otvaranju utvrdi da su neuredne posebno se konstatuju na zapisnik.
Parcele za koje se utvrdi da nije pristigla nijedna ponuda, posebno se konstatuju na zapisnik.
Postupak se smatra uspešnim ako za oglašenu parcelu Komisija konstatuje da su prispele najmanje jedna uredna ponuda.
Postupak javnog otvaranja ponuda završava se nakon otvaranja i razmatranja svih prispelih ponuda.
Postupak otvaranja ponuda je javan i istom mogu, sem ponuđača, prisustvovati sva zainteresovana punoletna lica.
Uslovi pod kojima Grad može da otuđi građevinsko zemljište po ceni manjoj od tržišne cene ili bez naknade, postupak raspolaganja građevinskim zemljištem pod uslovima povoljnijim od tržišnih kao i raspolaganje građevinskim zemljištem po uslovima povoljnijim od tržišnih prikupljanjem ponuda javnim oglasom opisani su u donetoj Odluci o otuđenju, razmeni i davanju u zakup građevinskog zemljišta u javnoj svojini Grada Loznice.
Program stupa na snagu narednog dana od dana objavljivanja u "Službenom listu grada Loznice".
Samostalna odredba Programa o dopunama
Programa otuđenja građevinskog zemljišta u javnoj svojini
("Sl. list grada Loznice", br. 10/2025)
Program o dopunama Programa otuđenja građevinskog zemljišta u javnoj svojini stupa na snagu osmog dana od dana objavljivanja u "Službenom listu grada Loznice".